
The states shrimp fishery, hit at the peak of the season, is estimated to lose $539 million. Photo: Scott Labak. |
Management Act as well as the Inter-jurisdictional Act to kick in allowing for release of various sources of relief funds. At the same time, Commerce Secretary Carlos Gutierrez directed an assessment of the 15 major fishing ports and 177 seafood processing facilities in the region by the National Oceanographic and Atmospheric Administration.
But getting a sense of the real damage to fishing communities, boats, and infrastructure is proving to be a bigger challenge than even the tsunami posed.
Its tough to get around for an assessment, said Bill Evert, a fishing vessel examiner for the U.S. Coast Guard District 8 region based in Louisiana. In many areas the waters havent receded yet and there is a lot of debris to contend with.
Hurricane debris ranging from floating household appliances to sunken objects, mixed with a toxic soup from the regions oil and chemical industries, has turned the near shore waters into a dangerous obstacle course.
In addition to the logistical nightmare that the flooding and damage to such an industrial area creates, the situation poses personal issues for many rescuers and those charged with the task of assessing damage. There are personal issues to deal with as well as we live here and our families are here, said Mike White, Commercial Fishing Vessel Coordinator for District 8 and Everts boss. Both reported that their families are safe at this point. However, like others from the region, they are dealing with the aftermath of the hurricanes. In fact, they had no reports of casualty when they spoke to Fishermens Voice.
Despite the personal and logistical challenges, District 8s staff has begun on the ground assessments to determine the level of loss.
Trying to account for everything is no easy task. According to Evert and White, nearly 20,000 boats call the Gulf of Mexico home. In the affected area from the Alabama/Mississippi border to the Louisiana/Texas border, 10 15,000 boats are affected. The fleet consists of small inshore shrimp boats, larger Gulf shrimpers, long liners, small oyster harvesters, rigs for snapper and grouper, and the menhaden fleet of large purse seiners.
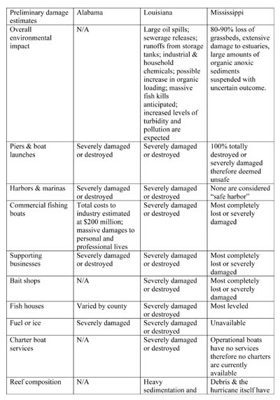
Preliminary Damage Assessment
|
They all took a big hit, said Evert. The boats that made it cant really fish because of the debris. Bottom line is they put a trawl down and they catch a refrigerator.
Preliminary reports by the three states impacted by Katrina, however, suggest billions of dollars in total losses. The Louisiana Department of Fish and Wildlife (LDF&W), for example, estimates a $1.1 billion loss in retail fisheries revenue over the next year and an additional $150 million in oyster revenue in the second year due to Hurricane Katrina damage.
According to a September report to the U.S. Congress by the Congressional Research Service, 10 percent of the U.S. domestic shrimp market is fed by the Gulf of Mexicos shrimp fleet an industry already in crisis due to rising costs of fuel, competition from cheap imports, and overcapitalization within the fishery. In addition, 40 percent of the oysters consumed in the U.S. come from the Gulf region.
Louisiana DF&W estimates 99 percent oyster mortality on both public and private oyster beds now covered in mud depriving the beds of oxygen. The agency estimates indicate a potential $1.1 billion loss in retail fisheries revenue over the next year.
The states shrimp fishery, hit at the peak of the season, is estimated to lose $539 million.
Nowhere is the interconnectedness of fishing communities felt more than in Alabama where many seafood dealers rely on fish caught elsewhere to maintain product volume. As a result, factories not destroyed by the hurricanes couldnt operate without product. Others were hamstrung by equipment failure because the fix was based where the hurricane didnt spare. According to the Alabama Marine Resources Division (MRD), shrimp peeling machines in one factory were valued at $125,000. Each was made by a New Orleans company whose future is uncertain.
The big question on everyones mind is: how long will it take for these communities to rebuild and the natural environment to bounce back?
The Alabama MRD report sums up what everyone seems to be thinking in the conclusion of its assessment: With neighboring coastal communities and associated fisheries devastated by the storm, and with the skyrocketing costs of harvesting and processing wild seafood, the future of the seafood industry along the northern Gulf coast is uncertain at best. Only generous and immediate financial and technical assistance can save these industries, these communities, and their constituent families from physical and financial ruin.
|